过完了中秋
很多上班族
已经在心里计划国庆的玩法

不过具体国庆期间能不能出门浪
能往哪里浪
还得看台风“潭美”给不给面子……

“潭美”已增强到超强台风级
逼近24小时警戒线


中央气象台网站消息显示
↓↓↓↓↓

就在大家过中秋时
台风“潭美“的最大风力
连升3级
(要是小朋友上学连升3级,家长该开心了)
从一个14级的强台风
升格为17级的超强台风。
这飞一般的发展速度吓得小编

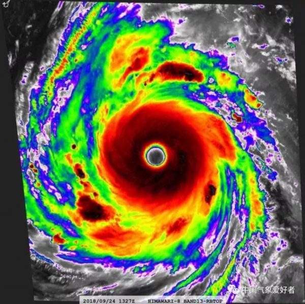
从卫星云图可见
潭美的台!风!眼!
巨大而清晰

作为一个实力极为强大的台风,
“潭美”如果登陆我国,
后果会非常严重。
不过,
根据中央气象台发布的最新预报,
今后三天"潭美"移动速度会变慢。
登陆我国的可能性减小,
急转弯去日本的可能性增加。
在靠近我国台湾时,
"潭美"将拐弯,往日本去了!
而登陆时间
预计在国庆节前后。

因此,在十一长假前
潭美最大可能是外围影响我国
在台湾海峡、东海掀起狂风巨浪
在台湾北部和浙江东部下起骤雨

而潭美本尊
很可能在十一前夕强势袭击日本
有成为今年日本最强台风的潜力
想想那里出名的招财猫
会不会变成这个样子

国庆长假打算
计划去我国台湾
或去华南、华东沿海一带,
还有到日本旅游的朋友
应谨慎选择行程
做好安排了!
(来源:现代快报,编辑/程梦青)





